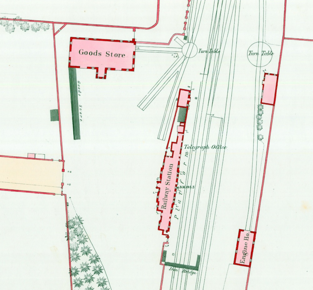
Carlow railway station on
1873 map.
Carlow station on
1887 to 1913 map.
Carlow railway station.
1940s photo.
Photo on display at station.
See larger
and full size.
Carlow railway station in 1960.
From IGP.
Carlow railway station.
Photo 2025.
See larger
and full size.
See 2007 shot.
And wider
and wider.


Carlow railway station, from the track side.
Photo 2007. Light adjusted digitally.
See larger
and original.
See other shot
light adjusted and
original.
Please donate to support this site.
I have spent a great deal of time and money on this research.
Research involves travel and many expenses.
Some research "things to do"
are not done for years, because I do not have the money to do them.
Please Donate Here
to support the ongoing research and
to keep this website free.